Продажа участка

Ярославская область, Ярославль,

1 800 м²
Площадь
18 сот
Площадь участка

2 400 000 ₽

1 334 ₽ за м²

ID объявления 12326778

Поделиться

Добавить в избранное

Арт. 90447993. Реализуется земельный участок в Зволжском районе г. Ярославля (направление - за КП Парково)
Просторный участок общей площадью 17.5 соток, с возможностью возведения жилого дома.
Очень выгодное местоположение участка. С одной стороны граничит с сосновым бором, с другой - береговой линией р. Волга.
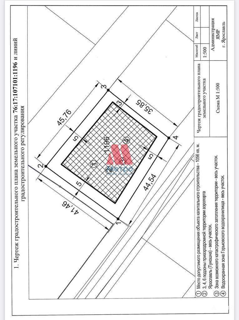
Кадастровый номер: 76: 17: 107101: 1196
Дорога в ДНП с круглогодичнымпроездом
От центра Ярославля до участка 13км
В сезон работает пристань речного транспорта "Вакарево" - одна остановка от Речного вокзала
--------------------------------------------------------------
Без комиссии для покупателя!
--------------------------------------------------------------
1. Больше информации по телефону и в форме чата.
2. Для иногородних клиентов оперативно покажем объект по видеосвязи.
3. Приглашаем посредников к сотрудничеству на выгодных условиях.
4. Если этот объект не понравился по фотографиям и описанию - обращайтесь, предложим альтернативу.
5. Фиксируем звонки в режиме 24/7, для Вашего удобства работает контакт-центр.

Дата обновления: 20 декабря 2025